سفر به مریخ آنقدر هیجان انگیز است که حتی برخی حاضرند سفر همراه با مرگ آن را تجربه کنند اما حالا امکان سفر بی خطر به این سیاره فراهم شده است، آن هم در دنیای مجازی!

بسیاری از مردم و به ویژه علاقمندان به فضا و سفرهای فضایی، رفتن به مریخ را جذاب ترین و خیال انگیزترین رویداد تاریخ می دانند اما فاصله زیاد این سیاره با زمین (ناسا اعلام کرده این سفر در صورت تحقق با تجهیزات امروزی نزدیک به ۶ ماه طول می کشد) و مخاطرات پیش روی فضانوردان از جمله پرتوهای مرگبار کیهانی مانع از واقعیت یافتن این رؤیا می شود.
اکنون و به لطف برنامه ابتکاری آژانس فضانوردی اروپا (اسا) این امکان فراهم شده که سفر به مریخ بدون خطر مرگ و پرتوهای کیهانی صورت گیرد.
درحقیقت این آژانس فضانوردی امکان سفر به مریخ در فکر را محقق ساخته است.
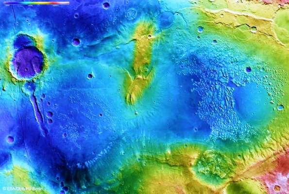
به تازگی اسا ویدئویی منتشر کرده که فرد مشاهده کننده گویی سوار بر بالگرد در آسمان این سیاره پرواز می کند و به منطقه مهم Atlantis Chaos می رسد، همان گودالی که حرف و حدیثهای فراوانی درباره آن وجود دارد.
این منطقه که در تصویر موجود به رنگ آبی است در حوضچه Atlantis واقع شده که درحقیقت حفره ای بسیار سرد به قدمت ۴ میلیارد سال است. مطالعات دانشمندان نشان می دهد لبه های این حفره در گذر زمان دچار فرسایش شده است.
این منطقه ابعادی درحدود ۱۶۸ در ۱۴۴ کیلومتر دارد اما تصور می شود که در گذشته های خیلی دور به سایر حوضچه های مریخ متصل بوده و دریاچه محتملی به نام Eridania را تشکیل می داده اند. درصورتیکه این تصور واقعیت داشته باشد مساحتی درحدود ۹۹۷ هزار کیلومتر مربع را دربرمی گرفته است.
در ویدئوی منحصربفرد آژانس فضانوردی اروپا کانالهایی دیده می شود که احتمالا ناشی از جریانات آبی است. برجستگی های قله مانند و صخره های کوچک و بزرگ از دیگر مشخصه های جغرافیایی است که در این ویدئو دیده می شود.
منبع: مهر